Surface Transform

The Surface Transform tool generates a new surface based on the coordinate system of geometric features the tool uses as input. The tool can take a zero-plane, line, and origin point to define this new coordinate system. You can then apply the built-in measurement tools or GDK tools to this new surface data. This could let you, for example, get the height of a feature relative to a slightly tilted or warped adjacent or surrounding reference surface, rather than the absolute height in the original scan volume relative to the sensor. The result is increased repeatability of your measurements.

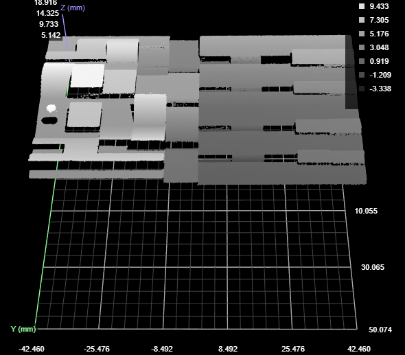
In Combinations of geometric feature inputs and results, the following geometric features are used by a Surface Transform tool in various combinations (a plane, a line, and a point).

A Surface Plane tool, with the region set to a small left-facing angled surface

A Surface Edge tool, with the region set to the left edge of a raised surface (upper left of data viewer).

A Surface Position tool (maximum Z), with the region set to the raised point near the top of the data viewer.

Furthermore, in the sections below, two types of data are shown: the original (input) scan data and the transformed data. When the tool displays the original data, it overlays indicators of the new, transformed coordinate system on the data.

A Surface Transform tool using all three types of geometric feature inputs.
The data viewer is set to display the input surface data with an overlay of the transformed coordinate system.

In the data viewer, the following is displayed:

X, Y, and Z axes

The transformed axes are represented above by the red, green, and blue lines intersecting on the surface data above. Note how these are rotated with respect to the original coordinate system (the background grid, axes, and values along the axes).

Origin

The new origin is represented by the dark blue dot at the intersection of the transformed axes.

Plane

The new plane is represented by the cyan rectangle.

To switch between the original and transformed data, choose the output under the data viewer or in the tool's list of outputs.

Inputs

Inputs
Name Description
Enable Batching

When Enable Batching is checked, the tool takes an array as input and processes each surface in the array individually. There is no limit to the size of the array, other than the processing limitations of the sensor.

For more information on arrays, batching, and aggregating, see Arrays, Batching, and Aggregation.

Surface Input

The data the tool applies measurements to or processes.

Plane

Line

Point

The Plane, Line, and Point geometric features the tool uses to perform transformations. The required geometric features depends on your application. For more information, see Combinations of geometric feature inputs and results.

Combinations of geometric feature inputs and results

The Surface Transform tool accepts all combinations of input geometric features (plane, line, and point). For details and examples of each, see the following sections.

Plane

New Z=0 XY Plane New X Axis New Origin
Matches the input plane. Parallel to the old X axis. Old origin projected to plane.

Original data with overlay

Transformed data

Line

New Z=0 XY Plane New X Axis New Origin
The new plane contains the line. The intersection of the new plane and the old plane is perpendicular to the input line. Matches the line. Old origin projected onto the line.

Original data with overlay

Transformed data

The direction of the X axis depends on the tool generating the line that Surface Transform takes as input. You may need to adjust the direction using the Add Fixed Transform settings.

Point

New Z=0 XY Plane New X Axis New Origin
Through the input point, parallel to old Z=0 plane. Parallel to the old axis. The input point.

Original data with overlay

Transformed data

Plane + Line

New Z=0 XY Plane New X Axis New Origin
Matches the input plane. Line projected onto the plane. Old origin projected onto the projected line.

Original data with overlay

Transformed data

Plane + Point

New Z=0 XY Plane New X Axis New Origin
Matches the input plane. Parallel to the old X axis. At the input point, projected onto the plane.

Original data with overlay

Transformed data

Line + Point

New Z=0 XY Plane New X Axis New Origin
The new plane contains the line. The intersection of the new plane and the old plane is perpendicular to the input line. Matches the line. The input point projected onto the line.

Original data with overlay

Transformed data

Plane + Line + Point

New Z=0 XY Plane New X Axis New Origin
Matches the input plane. The input line projected onto the plane. The input point projected onto the input line.

Original data with overlay

Transformed data

For information on adding, managing, and removing tools, as well as detailed descriptions of settings common to most tools, see Tool Configuration.

Scaling Modes

Line profile sensors have independent X and Y resolution settings: the former is set using the Uniform spacing interval setting (for more information, see Uniform Spacing), whereas the Y resolution is set using the Spacing setting in the Trigger panel (for more information, see Triggers. In many applications, the X resolution can be as much as 3-5 times higher than the Y resolution. Rotating scan data around Z greater than 45 degrees (for example, with the Transform tool) when there is a large difference between X and Y resolutions can result in significant data quality reduction. To avoid data quality reduction, choose one of the scaling modes that the tool offers (see below).

Parameters

The following parameters are in the expandable Parameters section in the tool's configuration.

Parameters
Parameter Description

Use Region

When enabled, displays Region parameters (see below). When disabled, the tool uses all data.

Region

The region to which the tool's measurements will apply. For more information, see Regions.

Add Fixed Transform

When enabled, displays X, Y, and Z offset and angle fields you can use to set additional transformations, which are applied after any transformations supplied by the input geometric features.

Setting a fixed transformation can be useful if the geometric features the tool uses results in data rotated to an unusual orientation; you could, for example, rotate the data 90 or 180 degrees so that it is in the "expected" orientation, or shift it so that it's easier to work with.

Resolution Mode

Determines whether the tool scales the X or Y resolution so that they are the same (a 1:1 ratio), or leaves the X and Y resolutions as the original. One of the following.

  • Optimal (uniform)

    Brings the X/Y resolution ratio to 1:1 while preserving the pixel area. Best for random rotation around Z. Provides a balance between the highest and lowest possible resolutions, requiring an average amount of memory and processing time compared to the High Oriented (uniform) or Low Oriented (uniform) options.

  • High Oriented (uniform)

    Interpolates the lower resolution to match the higher resolution (between X and Y) in the input. Choose this option when increased resolution is preferred over speed and low memory usage. (This can result in a very high resolution output, creating a lot of data for subsequent tools to process. This can in turn result in slower processing.)

  • Low Oriented (uniform)

    Decimates the higher resolution to match the lower resolution (between X and Y) in the input. Choose this option when speed and low memory usage is preferred over resolution. (It can result in significant data quality reduction with large Z rotations if the X and Y resolutions of the input are very different.)

  • Original Resolution

    Keeps the original X and Y resolution of the scan. Use this option only when you expect little or no Z rotation. Otherwise, with X/Y resolution ratios that are not 1:1, large rotation around Z results in severe data quality reduction.

For more information, see Scaling Modes.

Resolution Mode  

Outputs

Data
Type Description

Transformed Surface

The transformed surface.