Surface Transform
The Surface Transform tool generates a new surface based on the coordinate system of geometric features the tool uses as input. The tool can take a zero-plane, line, and origin point to define this new coordinate system. You can then apply the built-in measurement tools or GDK tools to this new surface data. This could let you, for example, get the height of a feature relative to a slightly tilted or warped adjacent or surrounding reference surface, rather than the absolute height in the original scan volume relative to the sensor. The result is increased repeatability of your measurements.
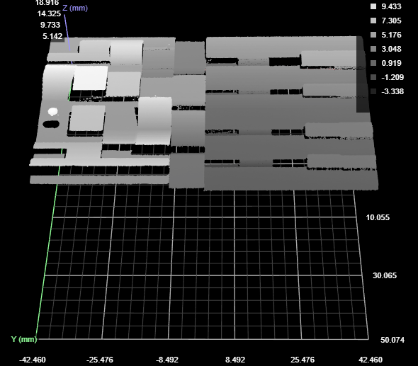
In Combinations of geometric feature inputs and results, the following geometric features are used by a Surface Transform tool in various combinations (a plane, a line, and a point).
A Surface Plane tool, with the region set to a small left-facing angled surface
A Surface Edge tool, with the region set to the left edge of a raised surface (upper left of data viewer).
A Surface Position tool (maximum Z), with the region set to the raised point near the top of the data viewer.
Furthermore, in the sections below, two types of data are shown: the original (input) scan data and the transformed data. When the tool displays the original data, it overlays indicators of the new, transformed coordinate system on the data.
A Surface Transform tool using all three types of geometric feature inputs.
The data viewer is set to display the input surface data with an overlay of the transformed coordinate system.
In the data viewer, the following is displayed:
X, Y, and Z axes
The transformed axes are represented above by the red, green, and blue lines intersecting on the surface data above. Note how these are rotated with respect to the original coordinate system (the background grid, axes, and values along the axes).
Origin
The new origin is represented by the dark blue dot at the intersection of the transformed axes.
Plane
The new plane is represented by the cyan rectangle.
|
|
To switch between the original and transformed data, choose the output under the data viewer or in the tool's list of outputs. |
Inputs
| Name | Description |
|---|---|
| Enable Batching |
When Enable Batching is checked, the tool takes an array as input and processes each data element in the array individually. There is no limit to the size of the array, other than the processing limitations of the sensor. For more information on arrays, batching, and aggregating, see Arrays, Batching, and Aggregation. |
|
Surface Input |
The data the tool applies measurements to or processes. |
|
Plane Line Point |
The Plane, Line, and Point geometric features the tool uses to perform transformations. The required geometric features depends on your application. For more information, see Combinations of geometric feature inputs and results. |
Combinations of geometric feature inputs and results
The Surface Transform tool accepts all combinations of input geometric features (plane, line, and point). For details and examples of each, see the following sections.
Plane
| New Z=0 XY Plane | New X Axis | New Origin |
|---|---|---|
| Matches the input plane. | Parallel to the old X axis. | Old origin projected to plane. |
Original data with overlay
Transformed data
Line
| New Z=0 XY Plane | New X Axis | New Origin |
|---|---|---|
| The new plane contains the line. The intersection of the new plane and the old plane is perpendicular to the input line. | Matches the line. | Old origin projected onto the line. |
Original data with overlay
Transformed data
The direction of the X axis depends on the tool generating the line that Surface Transform takes as input. You may need to adjust the direction using the Add Fixed Transform settings.
Point
| New Z=0 XY Plane | New X Axis | New Origin |
|---|---|---|
| Through the input point, parallel to old Z=0 plane. | Parallel to the old axis. | The input point. |
Original data with overlay
Transformed data
Plane + Line
| New Z=0 XY Plane | New X Axis | New Origin |
|---|---|---|
| Matches the input plane. | Line projected onto the plane. | Old origin projected onto the projected line. |
Original data with overlay
Transformed data
Plane + Point
| New Z=0 XY Plane | New X Axis | New Origin |
|---|---|---|
| Matches the input plane. | Parallel to the old X axis. | At the input point, projected onto the plane. |
Original data with overlay
Transformed data
Line + Point
| New Z=0 XY Plane | New X Axis | New Origin |
|---|---|---|
| The new plane contains the line. The intersection of the new plane and the old plane is perpendicular to the input line. | Matches the line. | The input point projected onto the line. |
Original data with overlay
Transformed data
Plane + Line + Point
| New Z=0 XY Plane | New X Axis | New Origin |
|---|---|---|
| Matches the input plane. | The input line projected onto the plane. | The input point projected onto the input line. |
Original data with overlay
Transformed data
For information on adding, managing, and removing tools, as well as detailed descriptions of settings common to most tools, see Tool Configuration.
Parameters
The following parameters are in the expandable Parameters section in the tool's configuration.
| Parameter | Description |
|---|---|
|
Use Region |
When enabled, displays Region parameters (see below). When disabled, the tool uses all data. |
|
Region |
The region to which the tool's measurements will apply. For more information, see Regions. |
|
Add Fixed Transform |
When enabled, displays X, Y, and Z offset and angle fields you can use to set additional transformations, which are applied after any transformations supplied by the input geometric features. Setting a fixed transformation can be useful if the geometric features the tool uses results in data rotated to an unusual orientation; you could, for example, rotate the data 90 or 180 degrees so that it is in the "expected" orientation, or shift it so that it's easier to work with. |
|
Resolution Mode |
On G3 sensors, leave this set to the default Original Resolution. |
Outputs
| Type | Description |
|---|---|
|
Transformed Surface |
The transformed surface. |